Cyclone Mocha Update: মে মাসের দ্বিতীয় সপ্তাহেই ঘূর্ণিঝড় তৈরির সম্ভাবনা বঙ্গোপসাগরে, ঝড়ের নামকরণ ‘মোকা’ কীভাবে হল?
- Written by:BISWAJIT SAHA
- news18 bangla
- Published by:Siddhartha Sarkar
Last Updated:
৬ মে শনিবার দক্ষিণ-পূর্ব বঙ্গোপসাগরে তৈরি হবে ঘূর্ণাবর্ত। সেই ঘূর্ণাবর্ত পরদিন রবিবার ৭ মে নিম্নচাপে পরিণত হবে। ৮ মে সোমবার গভীর নিম্নচাপে পরিণত হবে। মঙ্গলবার ৯ মে নিম্নচাপ ঘূর্ণিঝড়ে পরিণত হবে।
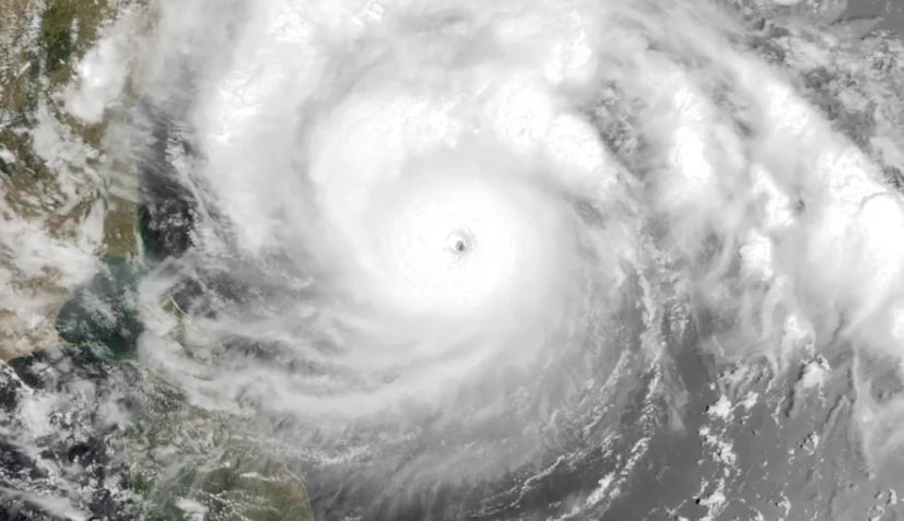
ঘূর্ণিঝড় মোকা তৈরি হতে চলেছে বঙ্গোপসাগরে। ৯ মে মঙ্গলবার মে মাসের দ্বিতীয় সপ্তাহে ঘূর্ণিঝড় তৈরি হবে মধ্য বঙ্গোপসাগরে। এমনই পূর্বাভাস ভারতের মৌসম ভবনের। বঙ্গোপসাগরে প্রাথমিকভাবে উত্তরমুখী হলেও ঘূর্ণিঝড় মোকা কোন দিকে? তার পথ কি হবে? কোথায় ল্যান্ডফল হবে! এ সম্পর্কে এখনও আলোকপাত করেনি ভারতের মৌসম ভবন। তবে আমেরিকা ও ইউরোপের বিভিন্ন সংস্থার দাবি মে মাসের দ্বিতীয় সপ্তাহে বঙ্গোপসাগরে তৈরি হতে চলেছে যে সাইক্লোন। তার অভিমুখ হবে বাংলাদেশ ও মায়ানমার উপকূল।
advertisement
ভারতের মৌসম ভবনের পূর্বাভাস সম্পর্কে আলিপুর আবহাওয়া দফতরের সাংবাদিক সম্মেলনে সঞ্জীব বন্দ্যোপাধ্যায় পূর্বাঞ্চলীয় অধিকর্তা জানান, ৬ মে শনিবার দক্ষিণ-পূর্ব বঙ্গোপসাগরে তৈরি হবে ঘূর্ণাবর্ত। সেই ঘূর্ণাবর্ত পরদিন রবিবার ৭ মে নিম্নচাপে পরিণত হবে। ৮ মে সোমবার গভীর নিম্নচাপে পরিণত হবে। মঙ্গলবার ৯ মে নিম্নচাপ ঘূর্ণিঝড়ে পরিণত হবে। তবে ঘূর্ণিঝড় কোন পথে এগোবে, তা নিশ্চিত করে আবহাওয়া দফতর এখনও জানায়নি।
advertisement
এই ঘূর্ণিঝড়ের নাম হবে ‘মোকা’। ইয়েমেন এই ঘূর্ণিঝড়ের নাম দিয়েছে। ইয়েমেনের পুরনো বন্দর শহর মোকা। সেই বন্দর শহরের নাম অনুযায়ী এই ঝড়ের নামকরণ করা হয়েছে। তবে এই মোকা শহরের নামকরণের অন্য একটি কাহিনী রয়েছে। বিখ্যাত মোকা ফ্লেভারের যে কফি তৈরি হয়। সেই কফির উৎপাদন হয় এই বন্দর শহরে। আমেরিকার গ্লোবাল ফোরকাস্ট সিস্টেম বা জিএফএস এবং ইউরোপিয়ান সেন্টার ফর মিডিয়াম রেঞ্জ ওয়েদার ফোরকাস্ট বা ইসিএমডব্লিউএফ এর মডেল অনুযায়ী মে মাসের দ্বিতীয় সপ্তাহে এই ঘূর্ণিঝড় আছড়ে পড়তে পারে বাংলাদেশ বা মায়ানমার উপকূলে।
advertisement
এই মডেল অনুযায়ী ৬ থেকে ৭ তারিখের মধ্যে দক্ষিণ বঙ্গোপসাগর এবং কিছুটা আন্দামান নিকোবর দ্বীপপুঞ্জের দক্ষিণ-পশ্চিম দিকে এই ঘূর্ণাবর্ত তৈরি হতে পারে। এরপর এই ঘুনাবর্ত ৮ থেকে ৯ মে-র মধ্যে নিম্নচাপে পরিণত হবে। ক্রমশ শক্তিশালী হয়ে দক্ষিণ বঙ্গোপসাগর ও মধ্য বঙ্গোপসাগরে এটি সুস্পষ্ট নিম্নচাপ থেকে গভীর নিম্নচাপে পরিণত হবে।
advertisement
advertisement
মে মাসে বঙ্গোপসাগরে ঘূর্ণিঝড় তৈরি হলে তাতে বিধ্বংসী চেহারা এর আগে দেখেছে বাংলা। তছনছ হয়ে গিয়েছিল রাজ্য। ফের ঘূর্ণিঝড় বঙ্গোপসাগরে তৈরি হলে সেই আশঙ্কাই বাড়ছে। তবে এই ঘূর্ণিঝড় এখনও পর্যন্ত উপকূলের দিকে আসার কোনও সম্ভাবনা দেখছেন না আবহাওয়াবিদরা। নিম্নচাপ তৈরি হওয়ার পরেই তা অবশ্য সুনিশ্চিত জানাতে পারবেন আবহাওয়া দফতরের বিজ্ঞানীরা।









