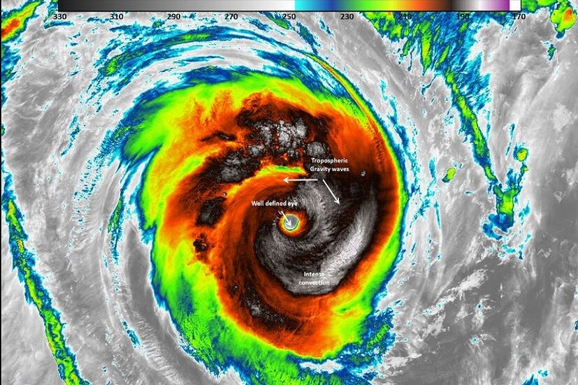
Super Cyclone Amphan| শেষ ৬ ঘণ্টায় গতি বাড়িয়ে দিঘার আরও কাছে আমফান, ৪৮ ঘণ্টা দাপট দেখাবে এই ঝড়
- Published by:Debalina Datta
- news18 bangla
Last Updated:
জেনে ৪৮ ঘণ্টা ধরে কীভাবে নিজের গতি দিয়ে পশ্চিমবঙ্গ ও বাংলাদেশকে ছিন্নভিন্ন করবে এই মারাত্মক ঝড়
advertisement
advertisement
advertisement
advertisement
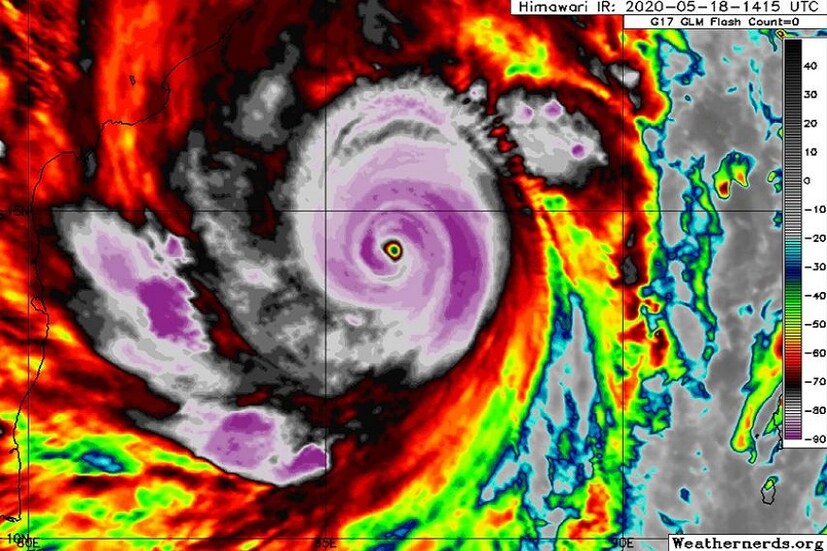
১৯ তারিখ সাড়ে পাঁচটায় এর গতি আরও একটু কমবে তখন এর গতি হবে ২০০ থেকে ২১০ কিলোমিটার প্রতি ঘণ্টা, ঝাাঁপিয়ে পড়ার সর্বাধিক গতি হতে পারে ২৩০ কিলোমিটার প্রতি ঘণ্টা অবধি ৷ বুধবার রাত সাড়ে এগারোটায় এর গতি হবে ঘণ্টায় প্রতি ১৮০-১৯০ ,আর ঝাঁপিয়ে পড়ার গতি হবে ২১০ কিলোমিটার প্রতি ঘণ্টা ৷ এই সময়েও এটা অতি ভয়ঙ্কর সাইক্লোনিক স্টর্ম থাকবে ৷ ২০ থেকে ২১ তারিখে ধীরে ধীরে শক্তি হারাবে এই সাইক্লোন ৷ ২১ তারিখ এই ঝড়ের গতি কমে হবে ঘণ্টায় ৫০ থেকে ৭০ কিলোমিটার প্রতি ঘণ্টা৷ এরপর সেটা অতি গভীর নিম্নচাপে পরিণত হবে ৷









