Typhoon Kong Rey Alert: ৩০ বছরে এমন বিধ্বংসী ঝড় কেউ দেখেনি...! আছড়ে পড়তেই অন্য বাঁক! বিশ্ব জুড়ে প্রভাব, দেখুন আবহাওয়ার পূর্বাভাস!
- Published by:Tias Banerjee
Last Updated:
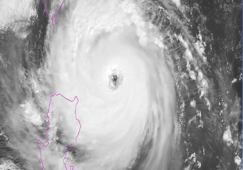
Typhoon Kong Rey Alert Updates: ভারত থেকে একটু দূরেই তাইওয়ান দ্বীপে আছড়ে পড়েছে ভয়ঙ্কর এক ঝড়। সুপার টাইফুন কং-রে। কী প্রভাব এর জানুন। আবহাওয়ার পূর্বাভাস দেখুন। (IMD Latest Weather Update)
(Typhoon Kong-rey) IMD-র পূর্বাভাস বলছে, লা নিনার প্রভাবে এবছর জাঁকিয়ে ঠান্ডা পড়তে চলেছে গোটা বিশ্বে৷ লা নিনা হল দক্ষিণী উষ্ণ বায়ু চলাচল চক্রের শীতল পর্যায়, যা এক প্রাকৃতিক গ্লোবাল জলবায়ু প্যাটার্ন যা প্রশান্ত মহাসাগরে বায়ু এবং সমুদ্রের তাপমাত্রায় পরিবর্তনের সঙ্গে জড়িত এবং এটি পৃথিবীজুড়ে চরম আবহাওয়া সৃষ্টি করতে পারে। যার প্রভাব উত্তর থেকে দক্ষিণ সর্বত্রই পড়বে৷
advertisement
advertisement
advertisement
advertisement
advertisement
advertisement
advertisement
advertisement
advertisement
advertisement
advertisement









