Hurricane Melissa: ভয়ঙ্কর ঝড়ের তাণ্ডব! কয়েক মিনিটেই মৃত্যু ৪৯ জনের! নিখোঁজ বহু, কোথায় এই ঘটনা জানেন! শুনে আঁতকে উঠবেন
- Published by:Suman Biswas
- news18 bangla
Last Updated:
Hurricane Melissa: জ্যামাইকায়ও ব্যাপক প্রাণহানি ঘটেছে। দেশটির তথ্যমন্ত্রী জানিয়েছেন, এ পর্যন্ত অন্তত ১৯ জন মারা গিয়েছেন।
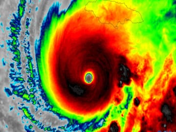
ক্যারিবীয় অঞ্চলে তাণ্ডব চালিয়ে ভয়ংকর হারিকেন মেলিসা অন্তত ৪৯ জনের প্রাণ কেড়েছে। বৃহস্পতিবার পর্যন্ত পাওয়া সরকারি তথ্য অনুযায়ী, হারিকেনটি উত্তর আটলান্টিকে বারমুডার পাশ দিয়ে অতিক্রম করার সময় আরও শক্তি সঞ্চয় করে।
হাইতিতে সরাসরি আঘাত না হানলেও হারিকেনের প্রভাবে টানা বৃষ্টিতে দেশটিতে সবচেয়ে বেশি ক্ষয়ক্ষতি হয়েছে। অন্তত ৩০ জন নিহত ও ২০ জন নিখোঁজ হয়েছেন। হাইতির দক্ষিণাঞ্চলীয় পেতি-গোভ শহরে নদীর পানি লোকালয়ে ঢুকে মৃত্যু হয়েছে ১০ শিশুসহ ২৩ জনের। বৃষ্টিতে ক্ষতিগ্রস্ত হয়েছে বহু রাস্তা, ঘরবাড়ি ও কৃষিজমি।
advertisement
advertisement
জ্যামাইকায়ও ব্যাপক প্রাণহানি ঘটেছে। দেশটির তথ্যমন্ত্রী জানিয়েছেন, এ পর্যন্ত অন্তত ১৯ জন মারা গিয়েছেন। উদ্ধার অভিযান এখনও চলছে। প্রবল ঝড়ে শত শত ভবনের ছাদ উড়ে গেছে। বিদ্যুৎ–সংযোগ বিচ্ছিন্ন হয়েছে। ধ্বংসস্তূপে পরিণত হয়েছে অনেক এলাকা।
advertisement
জ্যামাইকার সেনাবাহিনী উদ্ধারকাজে সহায়তার জন্য রিজার্ভ সদস্যদের কাজে যোগ দেওয়ার আহ্বান জানিয়েছে। গত মঙ্গলবার দ্বীপটির দক্ষিণ-পশ্চিম উপকূলে ক্যাটাগরি-৫ হারিকেন হিসেবে মেলিসা আঘাত হানে। এটি ছিল জ্যামাইকার ইতিহাসে সবচেয়ে শক্তিশালী হারিকেন।
পূর্বাভাসদাতাদের হিসাব অনুযায়ী, হারিকেন মেলিসার প্রভাবে পশ্চিম ক্যারিবীয় অঞ্চলে ৪ হাজার ৮০০ থেকে ৫ হাজার ২০০ কোটি ডলারের ক্ষতি হয়েছে।
advertisement
মেলিসা পূর্ব কিউবাতেও আঘাত হানে। সেখানকার প্রায় ৭ লাখ ৩৫ হাজার মানুষকে আগেই নিরাপদ স্থানে সরিয়ে নেওয়া হয়েছিল। গতকাল পর্যন্ত কোনও প্রাণহানির খবর পাওয়া যায়নি। তবে বাড়িঘর ও ফসলের ব্যাপক ক্ষয়ক্ষতি হয়েছে।
মার্কিন ন্যাশনাল হারিকেন সেন্টার জানিয়েছে, স্থানীয় সময় রাত ১১টায় হারিকেনটি বারমুডার পশ্চিমে প্রায় ২৬৪ কিলোমিটার দূরে অবস্থান করছিল। তখনো এটি ক্যাটাগরি-২ হারিকেন ছিল, বাতাসের সর্বোচ্চ গতিবেগ ছিল ঘণ্টায় ১৬১ কিলোমিটার।
advertisement
বারমুডায় ঝড়টি সরাসরি আঘাত না করলেও কর্তৃপক্ষ নিরাপত্তার স্বার্থে গতকাল রাত থেকে সব সেতু বন্ধ করে দেয় এবং আজ শুক্রবার স্কুল ও ফেরি চলাচল স্থগিত রাখার ঘোষণা দেয়।
দেশের সব লেটেস্ট খবর ( National News in Bengali ) এবং বিদেশের সব খবর ( World News in Bengali ) পান নিউজ 18 বাংলায় ৷ দেখুন ব্রেকিং নিউজ এবং টপ হেডলাইন নিউজ 18 বাংলার লাইভ টিভিতে ৷ ডাউনলোড করুন নিউজ 18 বাংলার অ্যাপ অ্যান্ড্রয়েড এবং আইওএস-এ ৷ News18 Bangla-কে গুগলে ফলো করতে ক্লিক করুন এখানে ৷
Location :
Kolkata,West Bengal
First Published :
Oct 31, 2025 12:24 PM IST










