Cyclone Alert IMD: ধেয়ে আসছে প্রবল দুর্যোগ...! মঙ্গল থেকেই খেলা ঘোরাবে 'সাইক্লোন' মন্থা! কাঁপাবে বৃষ্টি-ঝড়? বৃহস্পতি-শুক্র কী হবে বাংলায়? জানিয়ে দিল IMD!
- Reported by:BISWAJIT SAHA
- news18 bangla
- Published by:Sanjukta Sarkar
Last Updated:
Cyclone Alert IMD: আসছে দুর্যোগ? তবে কি ছট পুজোতেই আবহাওয়ার পরিবর্তন হতে চলেছে রাজ্যে? এল আবহাওয়ার বিরাট আপডেট। পূর্বাভাস জানাচ্ছে মঙ্গলবার থেকেই ঘুরবে আবহাওয়ার মেজাজ। হালকা বৃষ্টির সম্ভাবনা রয়েছে ছট পুজোয়। এরপরে জগদ্ধাত্রী পুজোতে বিক্ষিপ্তভাবে ভারী বৃষ্টির সম্ভাবনা। উত্তরবঙ্গে বিক্ষিপ্তভাবে ভারী বৃষ্টির সম্ভাবনা বৃহস্পতিবার ও শুক্রবার।
advertisement
1/14

আসছে দুর্যোগ? তবে কি ছট পুজোতেই আবহাওয়ার পরিবর্তন হতে চলেছে রাজ্যে? এল আবহাওয়ার বিরাট আপডেট। পূর্বাভাস জানাচ্ছে মঙ্গলবার থেকেই ঘুরবে আবহাওয়ার মেজাজ। হালকা বৃষ্টির সম্ভাবনা রয়েছে ছট পুজোয়। এরপরে জগদ্ধাত্রী পুজোতে বিক্ষিপ্তভাবে ভারী বৃষ্টির সম্ভাবনা। উত্তরবঙ্গে বিক্ষিপ্তভাবে ভারী বৃষ্টির সম্ভাবনা বৃহস্পতিবার ও শুক্রবার।
advertisement
2/14
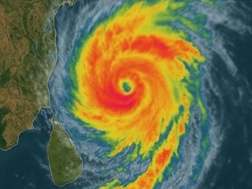
দক্ষিণ বঙ্গোপসাগরে ঘূর্ণাবর্ত ইতিমধ্যেই অতি গভীর নিম্নচাপে পরিণত। পশ্চিম ও উত্তর-পশ্চিম দিকে এগিয়ে দক্ষিণ-পশ্চিম এবং মধ্য বঙ্গোপসাগর এলাকায় গভীর নিম্নচাপ সোমবার ঘূর্ণিঝড়ে পরিণত হবে এই নিম্নচাপ।
advertisement
3/14
এই ঘূর্ণিঝড়ের অভিমুখ থাকবে পশ্চিম উত্তর-পশ্চিম দিক। মঙ্গলবার সকালে তীব্র ঘূর্ণিঝড়ে পরিণত হবে। এই ঘূর্ণিঝড়ের নাম হবে মন্থা। এই নাম দিয়েছে থাইল্যান্ড। এর অর্থ মন্থন। মঙ্গলবার সন্ধ্যায় বা রাতে ল্যান্ডফল করবে শক্তিশালী ঘূর্ণিঝড় মন্থা।
advertisement
4/14
এর জেরে সতর্কতা জারি করেছে আবহাওয়া দফতর। দক্ষিণ বা মধ্য বঙ্গোপসাগরে মৎস্যজীবীদের যেতে ইতিমধ্যেই নিষেধ করা হয়েছে। উত্তর পশ্চিমবঙ্গ বঙ্গোপসাগরে যেতেও নিষেধ করা হয়েছে।
advertisement
5/14
২৮ অক্টোবর মঙ্গলবার থেকে মৎস্যজীবীদের বাংলার উপকূলে সমুদ্রে যেতে নিষেধ করা হয়েছে। ২৭ তারিখের মধ্যে গভীর সমুদ্র থেকে উপকূলে ফিরে আসতে পরামর্শ।
advertisement
6/14
সিভিয়ার সাইক্লোন মন্থার ল্যান্ড ফলের সময় গতিবেগ সর্বোচ্চ ১১০ কিলোমিটার পর্যন্ত হতে পারে। এর জেরে ছট পুজোতে আবহাওয়ার ব্যাপক পরিবর্তন হওয়ার সম্ভাবনা। বুধবার এবং বৃহস্পতিবার চন্দননগর ও কৃষ্ণনগরের জগদ্ধাত্রী পুজোতে বৃষ্টির সম্ভাবনা তাই প্রবল।
advertisement
7/14
দক্ষিণবঙ্গের আবহাওয়া:আজ ঝলমলে পরিষ্কার আকাশ থাকবে দক্ষিণবঙ্গে। পরে আংশিক মেঘলা আকাশ থাকার সম্ভাবনা। উপকূলের জেলাতে হালকা বৃষ্টির সম্ভাবনা রয়েছে। ছট পুজোয় হালকা বৃষ্টির সম্ভাবনা বাড়বে। অন্যদিকে জগদ্ধাত্রী পুজোয় ভারী বৃষ্টির সতর্কতা দিয়েছে আবহাওয়া দফতর। আগামী সপ্তাহে সব জেলাতেই বৃষ্টির সম্ভাবনা তৈরি হতে পারে সোমবার থেকে শুক্রবার পর্যন্ত।
advertisement
8/14
সোমবার উত্তর ও দক্ষিণ ২৪ পরগনা পূর্ব ও পশ্চিম মেদিনীপুর ও ঝাড়গ্রাম জেলাতে বজ্রবিদ্যুৎ-সহ হালকা থেকে মাঝারি বৃষ্টির পূর্বাভাস দেওয়া হয়েছে।
advertisement
9/14
সোমবার রাতে ও মঙ্গলবার সকালে ছট পুজোর দিন হালকা বৃষ্টির সামান্য সম্ভাবনা রয়েছে। দক্ষিণবঙ্গে মেঘলা আকাশ; বৃষ্টির সম্ভাবনা থাকবে। বজ্রবিদ্যুৎ-সহ বৃষ্টির পূর্বাভাস সব জেলাতেই। থাকবে বজ্রপাতের আশঙ্কাও।
advertisement
10/14
মঙ্গলবার দক্ষিণ ২৪ পরগনা ও পূর্ব মেদিনীপুরে ভারী বৃষ্টির সতর্কতা রয়েছে। বৃষ্টির সঙ্গে উপকূলের ও উপকূল সংলগ্ন জেলাগুলিতে ৩০ থেকে ৫০ কিলোমিটার গতিবেগে দমকা বাতাস বইতে পারে। উত্তর ও দক্ষিণ চব্বিশ পরগনা, কলকাতা, হাওড়া, হুগলি, পূর্ব ও পশ্চিম মেদিনীপুর এবং ঝাড়গ্রাম জেলাতে দমকা ঝোড়ো বাতাসের আশঙ্কা।
advertisement
11/14
বুধবার হাওড়া, উত্তর ও দক্ষিণ ২৪ পরগনা, পূর্ব ও পশ্চিম মেদিনীপুর এবং ঝাড়গ্রাম এই ছয় জেলাতে ভারী বৃষ্টির সতর্কতা।
advertisement
12/14
বৃহস্পতিবারেও ভারী বৃষ্টির সতর্কতা রয়েছে। বীরভূম, পশ্চিম বর্ধমান ও মুর্শিদাবাদে বিক্ষিপ্তভাবে ভারী বৃষ্টির সতর্কতা জারি করেছে আলিপুর আবহাওয়া দফতর। শুক্রবারে হালকা বৃষ্টির সামান্য সম্ভাবনা দক্ষিণবঙ্গের জেলাগুলিতে।
advertisement
13/14
আবহাওয়া দফতরের পরামর্শ:বৃষ্টি-দুর্যোগে ফসলের ক্ষতি হতে পারে। কৃষকদের পরামর্শ মাঠে পাকা ফসল থাকলে তা কেটে তুলে নেওয়ার জন্য বিশেষ করে দক্ষিণবঙ্গের চাষীদের।নিচু এলাকায় জল জমতে পারে। শহরের আন্ডারপাস-সহ নিচু এলাকায় জল জমতে পারে।পাহাড়ের দৃশ্যমানতা কমতে পারে ভারী বৃষ্টির কারণে।
advertisement
14/14
কলকাতার আবহাওয়া :সোমবার রাতে আবহাওয়ার পরিবর্তন হওয়ার আশঙ্কা। আংশিক মেঘলা আকাশ, কখনও কখনও মেঘলা আকাশ দেখা যাবে। বজ্রবিদ্যুৎ-সহ বৃষ্টির সম্ভাবনা ক্রমশ বাড়বে। মঙ্গলবার থেকে বৃহস্পতিবার বজ্রবিদ্যুৎ-সহ হালকা/ মাঝারি বৃষ্টির সম্ভাবনা শহরে। বুধবার বৃষ্টির সম্ভাবনা বেশি থাকবে। সঙ্গে দমকা ঝোড়ো হাওয়া বইতে পারে ৩০ থেকে ৪০ কিলোমিটার বেগে।
বাংলা খবর/ছবি/দক্ষিণবঙ্গ/
Cyclone Alert IMD: ধেয়ে আসছে প্রবল দুর্যোগ...! মঙ্গল থেকেই খেলা ঘোরাবে 'সাইক্লোন' মন্থা! কাঁপাবে বৃষ্টি-ঝড়? বৃহস্পতি-শুক্র কী হবে বাংলায়? জানিয়ে দিল IMD!