Cyclone Mocha || IMD BIG Alert : ঘণ্টায় ১৭৫ কিমি...! ভয়ঙ্কর গতিতে ধেয়ে আসছে ঘূর্ণিঝড় মোকা! তাণ্ডবলীলার আশঙ্কায় তুমুল সতর্কতা
- Published by:Sanjukta Sarkar
- news18 bangla
Last Updated:
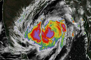
Cyclone Mocha || IMD BIG Alert: দৈত্যাকার চেহারায় এগিয়ে আসছে সাইক্লোন মোকা। আর ২৪ ঘণ্টার মধ্যেই ভয়ঙ্কর এই ঘূর্ণিঝড়ের ল্যান্ডফলের ইঙ্গিত আইএমডি-র। চরম সতর্কতা জারি করা হয়েছে বাংলার উপকূল এলাকায়।
advertisement
1/10

দৈত্যাকার চেহারায় এগিয়ে আসছে সাইক্লোন মোকা। আর ২৪ ঘণ্টার মধ্যেই ভয়ঙ্কর এই ঘূর্ণিঝড়ের ল্যান্ডফলের ইঙ্গিত আইএমডি-র। চরম সতর্কতা জারি করা হয়েছে বাংলার উপকূল এলাকায়।
advertisement
2/10
চরম শক্তিশালী ঘূর্ণিঝড়ে পরিণত মোকা। রবিবার দুপুরে মায়ানমারে ল্যান্ডফল। মোকার প্রভাবে রাজ্যের উপকূলে বৃষ্টির পূর্বাভাস জারি হয়েছে। বৃষ্টি হতে পারে কলকাতা ও হাওড়াতেও।
advertisement
3/10
মোকার প্রভাবে রাজ্যের উপকূল এলাকায় বৃষ্টির পূর্বাভাস। সকাল থেকে দিঘায় মেঘলা আকাশ। সতর্কতায় মাইকিং। দিঘায় NDRF এর টিম। মোকায় সতর্ক সুন্দরবন প্রশাসন। বকখালি, সাগর সহ উপকূল এলাকায় নজরদারি। সতর্কতায় চলছে মাইকিং। তৈরি NDRF।
advertisement
4/10
২০০৮ সালে ঘূর্ণিঝড় নার্গিস ধ্বংসলীলা চালিয়েছিলেন মায়নামার উপকূলে। সেই স্মৃতি ফের উসকে দিল ঘূর্ণিঝড় মোকা। 'নার্গিসে'র ধ্বংসলীলার আতঙ্ক আজ ফের মায়ানমারবাসী চোখে-মুখে। ঘূর্ণিঝড় মোকা কিন্তু এক্সট্রিম সিভিয়ার সাইক্লোনিক স্টর্মের রূপ নিয়ে ধেয়ে আসছে মায়ানমার অভিমুখে।
advertisement
5/10
আবহাওয়া দফতরের পূর্বাভাস, রবিবার বাংলাদেশ-মায়ানমার উপকূলে আছড়ে পড়বে ঘূর্ণিঝড় মোখা। আইএমডি জানিয়েছে, ঘূর্ণিঝড় মোকা বাংলাদেশের কক্সবাজার ও মায়ানমারের ক্যায়ুকপিউয়ের মধ্যে ল্যান্ডফল করবে ঘণ্টায় ১৫০ থেকে ১৬০ কিলোমিটার গতিবেগে তা আছড়ে পড়তে পারে।
advertisement
6/10
পূর্বাভাসে আরও জানানো হয়েছে ঘূর্ণিঝড় মোকার সর্বোচ্চ গতিবেগ হবে ঘণ্টায় ১৭৫ কিলোমিটার। এই পূর্বাভাস ঘুম কেড়ে নিয়েছে বাংলাদেশ-মায়ানমার উপকূলবর্তী মানুষের। তাহলে কি আরও একটা ধ্বংসলীলা দেখতে হবে। আবারও কি ১৫ বথর আগের সেই বীভৎসতা ফিরে আসবে মায়ানমারের বুকে!
advertisement
7/10
সেটাও ছিল মে মাস। ২০০৮ সাল। বঙ্গোপসাগররে বুক চিরে ধেয়ে এসেছিল ঘূর্ণিঝড় নার্গিস। মায়ানমারের দক্ষিণ-পশ্চিমের ইরাবতী অঞ্চলে আছড়ে পড়েছিল তা। বিধ্বংসী ঝড়ের সঙ্গে তা আঘাত হানে ইরাবতী নদীর ব-দ্বীপ অঞ্চলে। ইরাবতী নদীর ব-দ্বীপ অঞ্চলে আশেপাশের জনবহুল এলাকাগুলোকে ধ্বংস করে দেয় সেই ঝড়।
advertisement
8/10
ঘণ্টায় ১৬৫ কিলোমিটার বেগে তা আছড়ে পড়েছিল মায়ানমার উপকূলে। এই ঝড়ের প্রভাবে কমপক্ষে ১ লক্ষ ৩৮ হাজার মানুষ মারা গিয়েছিলেন। এবং কয়েক হাজার বাড়ি-ঘর নিশ্চিহ্ন হয়ে গিয়েছিল। তারপর ফের ধেয়ে আসছে আর এক সেমি সুপার সাইক্নোন। এখন পর্যন্ত যে গতিবেগের কথা জানানো হয়েছে, তা ঘূর্ণিঝড় নার্গিসের থেকেও বেশি।
advertisement
9/10
এই অবস্থায় প্রশাসনের তরফে সমস্তরকম ব্যবস্থা নেওয়া হয়েছে। মোতায়েন করা হয়েছে বিপর্যয় মোকাবিলা বাহিনী, সেনাকে। উপকূলবর্তী এলাকা থেকে সরানো হয়েছে লোকজন। বিপর্যয় রুখতে তৈরি একদিকে মায়ানমার, অন্যদিকে বাংলাদেশ প্রশাসন। সাগর ফুঁসতে শুরু করেছে। জলোচ্ছ্বাসের সম্ভাবনাও প্রবল।
advertisement
10/10
আবহাওয়ার পূর্বাভাস, রবিবার বিকেলে মোকা আছড়ে পড়তে পারে। যে গতিতে বঙ্গোপসাগর দিয়ে এগোচ্ছে ঘূর্ণিপাক, তা উপকূল ছুঁতে পারে রবিবার সন্ধ্যার মধ্যে। বাংলাদেশ ও মায়ানমারে তাণ্ডব চালাবে ঘূর্ণিঝড়। সোমবার পর্যন্ত চলবে দুর্যোগ। আর যদি বন্যা পরিস্থিতি তৈরি হয়ে তবে প্রলম্বিত হবে দুর্যোগ।