Typhoon Bolaven: পৃথিবীর দ্বিতীয় শক্তিশালী ঝড়! ঘণ্টায় ৩০০ কিমি গতি! দানবীয় চেহারা ‘বলাভেন’-এর
- Published by:Uddalak B
- news18 bangla
Last Updated:
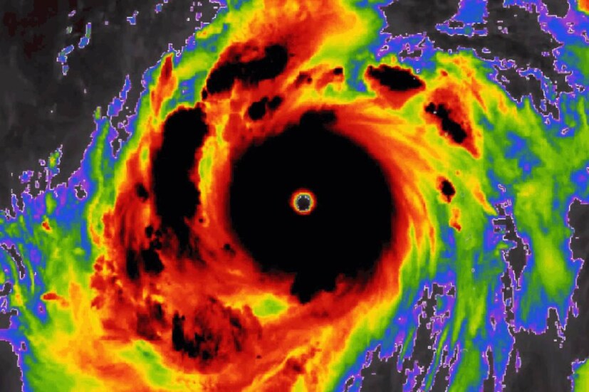
Typhoon Bolaven: কারণ, তাঁরা বলছেন, এটি পৃথিবীর অন্যতম শক্তিশালী এক ঘূর্ণিঝড় হতে চলেছে৷
advertisement
advertisement
advertisement
advertisement









