Hurricane Melissa Update: তাণ্ডবে ছারখার...২০০ বছরে সবচেয়ে বড়, সবচেয়ে ভয়ঙ্কর ঘূর্ণিঝড়! ২৯৫ কিমি বেগে আছড়ে পড়ল..এগোচ্ছে মেলিসা
- Published by:Satabdi Adhikary
- news18 bangla
Last Updated:
গোটা ক্যারিবিয়ান এলাকা জুড়ে ৭ জনের মৃত্যুর খবর সামনে এসেছে৷ এর মধ্যে ৩ জন জামাইকার, হাইতিতে ৩ জন ও ডমিনিকাম রিপাবলিকে ১ জন মারা গিয়েছে৷ ১৩ জন আহত৷
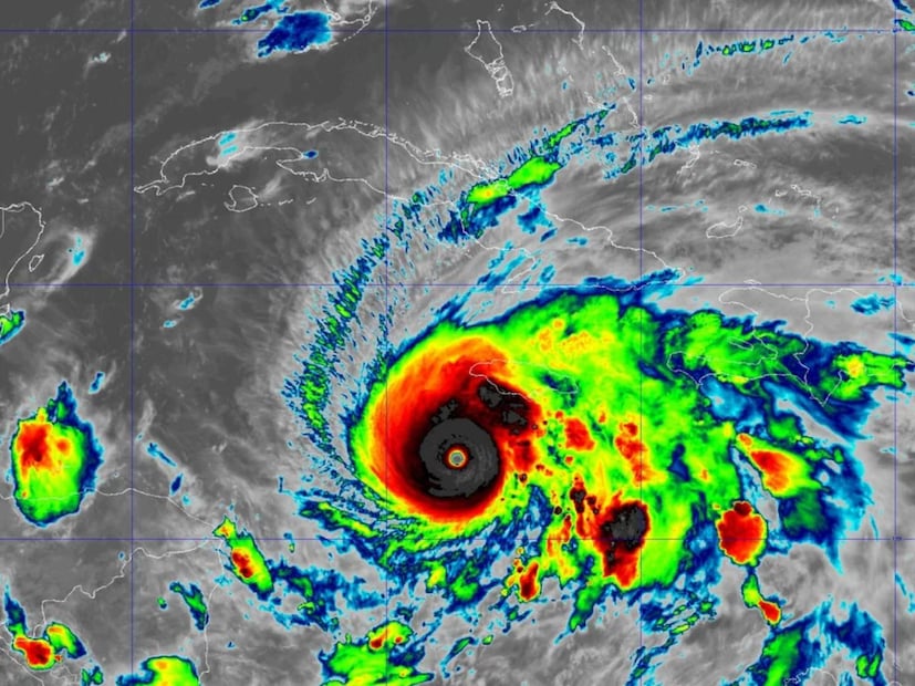
জামাইকা: শেষবার এমন হারিকেন আছড়ে পড়েছিল ১৮৫১ সালে৷ তারপর ১৭৪ বছর কেটে গেছে৷ জামাইকার ইতিহাসে এত বড় ঘূর্ণিঝড় আর হয়নি৷ চলতি বছরে বিশ্বের সবচেয়ে বড়, সবচেয়ে ভয়ঙ্কর ক্যাটেগরি ৫ হ্যারিকেন ঘূর্ণিঝড় আছড়ে পড়ল জামাইকার উপকূলে৷ হারিকেন মেলিসার ব্যাস একটা গোটা দ্বীপের চেয়েও বড়, তা গোটা জামাইকা জুড়ে ধ্বংসলীলাও চালাল তেমনই মারাত্মক৷
advertisement
মঙ্গলবার জামাইকার উপকূলে ২৯৫ কিলোমিটার গতিবেগে আছড়ে পড়েছে মেলিসা৷ ভয়ঙ্কর বৃষ্টি, বন্যা, ঝড়ে তছনছ গোটা দেশ৷ আমেরিকার জাতীয় হারিকেন সেন্টার জানিয়েছে, ল্যান্ডফলের পরে বর্তমানে ক্যাটেগরি ৫ এর ঘূর্ণিঝড়ের থেকে কিছুটা শক্তি হারিয়ে ক্যাটেগরি ৩ এর ঘূর্ণিঝড়ে পরিণত হয়েছে মেলিসা৷ তবে, ঘূর্ণিঝড়েরপ চোখের কাছে (আই) যেভাবে ঘন ঘন বিদ্যুতের ঝলকানি এবং মেঘের সঞ্চার দেখা যাচ্ছে, তা দ্রুত শক্তি বাড়িয়ে ক্যাটেগরি ৪ এর বিধ্বংসী ঘূর্ণিঝড়ে পরিণত হতে পারে বলে মনে করা হচ্ছে৷ (হারিকেনের আই-এর ভিতরে স্টেডিযাম এফেক্ট)
advertisement
জ্যামাইকার দক্ষিণ-পশ্চিম উপকূলের সবচেয়ে ক্ষতিগ্রস্ত অঞ্চলগুলির মধ্যে একটি, সেন্ট এলিজাবেথ প্যারিশ এখন কার্যত জলের নীচে। জামাইকার মন্ত্রী ডেসমন্ড ম্যাকেঞ্জি বলেছেন যে এলাকার পরিকাঠামো "মারাত্মকভাবে ক্ষতিগ্রস্ত" হয়েছে এবং নিশ্চিত করেছেন যে ব্ল্যাক রিভার হাসপাতাল বিদ্যুৎ বিচ্ছিন্ন হয়ে পড়েছে, যার ফলে ৭৫ জন রোগীকে স্থানান্তরিত করতে বাধ্য করা হয়েছে।
advertisement
ঝড়ে বিপুল ক্ষয়ক্ষতির আশঙ্কায় আগে থেকেই কোটি কোটি মানুষকে নিরাপদে সরিয়ে নিয়ে যাওয়া হয়েছিল৷ খোলা হয়েছিল প্রায় ৮০০টি আশ্রয়কেন্দ্র৷ মেলিসা আছড়ে পড়ার পরে তার গতিপথে থাকা সমস্ত কিছুকেই নিশ্চিহ্ন করতে করতে এগোচ্ছে সে৷ চতুর্দিকে শুধু চুরমার হয়ে যাওয় ঘরবাড়ি, জলমগ্ন রাস্তা, বন্যা, ভূমিধসের ছবি ভিডিও সামনে আসছে৷
advertisement
advertisement
advertisement
advertisement









