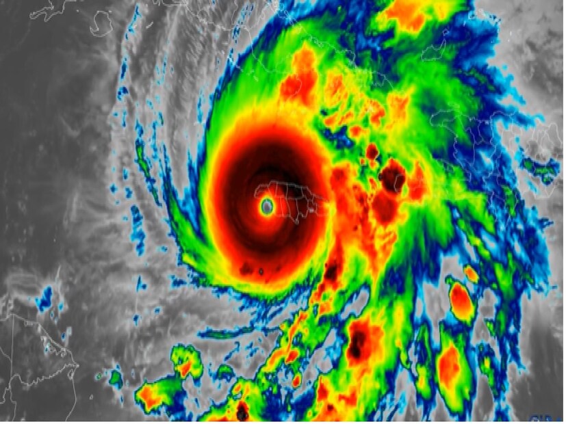
Alert: এল ঘূর্ণিঝড়ের ‘বাপ’,২৯৫ কিমি/ঘন্টা গতিতে ঝাঁপিয়ে পড়ল Melissa, একটা দ্বীপের চেয়েও আকারে বড় ঘূর্ণিঝড়
- Published by:Debalina Datta
- news18 bangla
Last Updated:
Cyclone Alert: ধ্বংসলীলার নাম Melissa, হ্যারিকেন ইতিমধ্যেই ৩০০ কিমি গতিতে স্থলভাগে ঢুকে গেছে দানব ঘূর্ণিঝড়
advertisement
advertisement
advertisement
advertisement
advertisement
advertisement









