Weather Update: বঙ্গোপসাগরে ভয়ঙ্কর নিম্নচাপ, ফেব্রুয়ারিতে অকাল ঘূর্ণিঝড়ের আশঙ্কা? শুক্রবার সকালই আসল সময়
- Published by:Uddalak B
Last Updated:
বঙ্গোপাসগরে নতুন করে ঘূর্ণিঝড়ের সম্ভাবনা তৈরি হয়েছে৷
advertisement
1/5

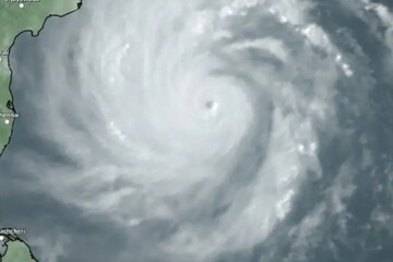
বঙ্গোপাসগরে নতুন করে ঘূর্ণিঝড়ের সম্ভাবনা তৈরি হয়েছে৷ আবহাওয়া দফতরের খবর অনুসারে একটি নিম্নচাপ দক্ষিণ-পশ্চিম বঙ্গোপসাগরে অবস্থান করছে৷
advertisement
2/5
আবহাওয়া দফতরের খবর অনুসারে এটি ক্রমে এগোতে থাকবে দক্ষিণ-পশ্চিম শ্রীলঙ্কার দিকে৷ ইতিমধ্যে তামিলনাড়ুর পম্বন ও তুতিকোরিন বন্দরে ঘূর্ণিঝড়ের সতর্কতা ১ থেকে তিনে নিয়ে যাওয়া হয়েছে৷
advertisement
3/5
অর্থাৎ এক থেকে তিনে যাওয়ার অর্থ, এই ঝড়ের ফলে বন্দর এলাকায় বিপুল প্রভাব পড়তে পারে৷ সেই কারণেই এই সতর্কতা বাড়িয়ে দেওয়া হল৷
advertisement
4/5
ভারতের হাওয়া অফিসের তরফ থেকে বলা হয়েছে, বঙ্গোপসাগরে এই নিম্নচাপ নিজের ১৫ কিলোমিটার গতিতে বাত্তিকালোয়া ত্রিনকোমালি এলাকার মধ্যে বৃহস্পতিবার রাতে ৩.৩০ থেকে ৪.৩০-এর মধ্যে গতিপথ পাল্টাবে৷
advertisement
5/5
এর পর এটি আরও পশ্চিম-দক্ষিণ পশ্চিম দিকে বেঁকে শুক্রবার সকালে মান্নার এলাকায় শ্রীলঙ্কার পশ্চিম উপকূলে শুক্রবার ভোরবেলা আছড়ে পড়তে পারে৷ সেই কারণে তামিলনাড়ু, পুদুচেরিতে বৃষ্টি হতে পারে৷