Cyclone Mocha Update: নিম্নচাপ ক্রমশ ঘণীভূত হচ্ছে বঙ্গোপসাগরে ! ঘূর্ণিঝড় ‘মোকা’-র অভিমুখ কোনদিকে জানুন
- Written by:BISWAJIT SAHA
- news18 bangla
- Published by:Siddhartha Sarkar
Last Updated:
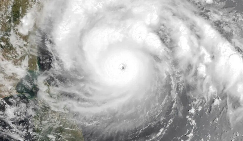
অতি শক্তিশালী ঘূর্ণিঝড় হিসেবেই স্থলভাগে আছড়ে পড়ার সম্ভাবনা ‘মোকা’-র ৷
advertisement
advertisement
বৃহস্পতিবারের এই অভিমুখ পরিবর্তনেই পশ্চিমবঙ্গের উপকূলে ঘূর্ণিঝড়ের কতটা প্রভাব পড়বে তা সুনিশ্চিত হয়ে যাবে। এখনও পর্যন্ত আবহাওয়াবিদদের অনুমান মোকার উত্তর বঙ্গোপসাগরে প্রবেশ করার সম্ভাবনা অনেকটাই কম। শেষ পর্যন্ত উত্তর বঙ্গোপসাগরে এই সিস্টেম প্রবেশ না করলে পশ্চিমবঙ্গ উপকূলে মেঘলা আকাশ, হালকা বৃষ্টি ও সামান্য ঝোড়ো বাতাস ছাড়া আর কোনও প্রভাব সেভাবে পড়বে না বলেই অনুমান আবহাওয়াবিদদের।
advertisement
ঘূর্ণিঝড় মোকা কতটা এলাকা নিয়ে বিস্তৃত হয় বা কতটা সময় নিয়ে শক্তিশালী হয়, তার ওপরই এখন নির্ভর করছে আমাদের রাজ্যের উপকূলে কতটা প্রভাব পড়বে। ঘূর্ণাবর্ত নিম্নচাপে পরিণত। দক্ষিণ পূর্ব বঙ্গোপসাগর ও দক্ষিণ আন্দামান সাগরে নিম্নচাপ ঘনীভূত হচ্ছে। মঙ্গলবার নিম্নচাপ গভীর নিম্নচাপে পরিণত হবে। দক্ষিণ-পূর্ব বঙ্গোপসাগর আন্দামান সাগর এবং কিছুটা মধ্য বঙ্গোপসাগরে এই নিম্নচাপ অতি গভীর নিম্নচাপে পরিণত হবে। এই অঞ্চলেই অতি গভীর নিম্নচাপ ঘূর্ণিঝড়ে পরিণত হতে পারে বুধবার।
advertisement
ঘূর্ণিঝড় শক্তিশালী থেকে অতি শক্তিশালী হবে। বুধবার এবং বৃহস্পতিবার দিক পরিবর্তন করতে পারে সিস্টেমটি। প্রথমে অতি গভীর নিম্নচাপ উত্তর ও উত্তর-পশ্চিম দিকে অগ্রসর হয়ে পূর্ব মধ্য বঙ্গোপসাগরের দিকে অবস্থান করতে পারে। বৃহস্পতিবার এটি রিকার্ভ বা গতিপথ পরিবর্তন করে উত্তর ও উত্তর-পূর্ব দিকে অগ্রসর হবে বলে অনুমান আবহাওয়াবিদদের। নিম্নচাপ দক্ষিণ-পূর্ব বঙ্গোপসাগর এবং দক্ষিণ আন্দামান সাগরে আরও ঘনীভূত হবে আজ মঙ্গলবার ৯ই মে। পরিণত হবে গভীর থেকে অতি গভীর নিম্নচাপে। সেই সময় এর অবস্থান হবে দক্ষিণ-পূর্ব বঙ্গোপসাগর এবং আন্দামান সাগর।
advertisement
গভীর নিম্নচাপে পরিণত হয়ে এই সিস্টেম মধ্য বঙ্গোপসাগরের দিকে এগোবে। সেই সময় এর গতিমুখ থাকবে উত্তর ও উত্তর-পশ্চিম অভিমুখে। ১০ মে বুধবার গভীর নিম্নচাপ ঘূর্ণিঝড়ে পরিণত হবে পূর্ব মধ্য বঙ্গোপসাগরে। ভারতের মৌসম ভবন জানিয়ে দিল, এই ঘূর্ণিঝড়ের অভিমুখ বাংলাদেশ ও মায়ানমার সীমান্ত। ১৪ মে রবিবার ঘূর্ণিঝড় মোকা বাংলাদেশ ও মায়ানমার সীমান্তে আছে পড়তে পারে অতি শক্তিশালী ঘূর্ণিঝড় হিসেবে।
advertisement
বাংলাদেশের চট্টগ্রাম, টেকনাফ ও সংলগ্ন মায়ানমারের উপকূলে এটি স্থলভাগে প্রবেশ করার প্রবল সম্ভাবনা রয়েছে। ঘূর্ণিঝড়ে পরিণত হলে এই সিস্টেমের নাম হবে ‘মোকা’। আরব সাগরের দেশ ইয়েমেনের দেওয়া নাম মোকা। আরব সাগরের এই দেশে মোকা কফি বিখ্যাত এবং এই শহরের একটি পুরনো বন্দর ‘মোখা’। যে বন্দর দিয়ে মোকা কফি সারা বিশ্বে ছড়িয়ে পড়ে। এই কফির নাম অনুযায়ী ঘূর্ণিঝড়ের নাম মোকা।
advertisement
মোকার প্রভাবে পর্যটকদের জন্য সতর্কতা জারি আন্দামান ও নিকোবর দ্বীপপুঞ্জে। সোমবার থেকে বৃহস্পতিবার পর্যন্ত সমুদ্র ও তার তীরবর্তী সমস্ত বিনোদনমূলক কার্যক্রম বন্ধ রাখতে পরামর্শ দেওয়া হয়েছে। ওই সময়ে মৎস্যজীবীদের জন্য সতর্কবার্তা এবং পর্যটকদের ভেসেল না চালানোর পরামর্শ আবহাওয়া দফতরের। বড় জাহাজ চলাচলের ক্ষেত্রে নিয়ন্ত্রণের পরামর্শ আবহাওয়া দফতরের।
advertisement
আন্দামান ও নিকোবর দ্বীপপুঞ্জের দুর্যোগপূর্ণ আবহাওয়া। ইতিমধ্যেই ভারী বৃষ্টি দুর্যোগপূর্ণ আবহাওয়া শুরু হয়েছে নিকোবর দ্বীপপুঞ্জে। নিকোবর দ্বীপপুঞ্জে ভারী থেকে অতি ভারী বৃষ্টির সতর্কতা জারি করা হয়েছে। ভারী বৃষ্টির সতর্কতা রয়েছে আন্দামান দ্বীপপুঞ্জেও। বৃহস্পতিবার পর্যন্ত তুমুল বৃষ্টি হতে পারে এই দুই দ্বীপপুঞ্জ এলাকায়। বৃষ্টির সঙ্গে তুমুল হাওয়া বইবে আন্দামান ও নিকোবর দ্বীপপুঞ্জে।
advertisement
আজ, মঙ্গলবার সেই ঝোড়ো হাওয়ার গতিবেগ ৬০ কিলোমিটার পর্যন্ত হতে পারে বলে অনুমান আবহাওয়াবিদদের। বুধ বৃহস্পতিবারে ৮০ থেকে ১০০ কিলোমিটার প্রতি ঘণ্টা পর্যন্ত এই ঝোড়ো হাওয়া বইতে পারে বলে অনুমান আবহাওয়াবিদদের। মৎস্যজীবীদের জন্য সতর্কবার্তা জারি করা হয়েছে। আন্দামান ও নিকোবর দ্বীপপুঞ্জ সংলগ্ন সমুদ্রে বৃহস্পতিবার পর্যন্ত মৎস্যজীবীদের সমুদ্রে যেতে নিষেধ করা হয়েছে। ১২ মে পর্যন্ত সমুদ্রে যেতে মানা মৎস্যজীবীদের।
advertisement
দক্ষিণ-পূর্ব বঙ্গোপসাগর এবং মধ্য বঙ্গোপসাগর এলাকা উত্তাল থাকবে। বৃহস্পতিবার পর্যন্ত এই সমুদ্র এলাকাতেও মৎস্যজীবীদের প্রবেশ নিষেধ বলে জানিয়েছে মৌসম ভবন। ওই সময় সমুদ্রের মধ্যে ৭০ থেকে ৮০ কিলোমিটার প্রতি ঘণ্টা গতিবেগে দমকা ঝোড়ো হাওয়া বইবে। যার ফলে সমুদ্র উত্তাল থাকবে ৷ সেকারণেই মৎস্যজীবীদের জন্য দক্ষিণ-পূর্ব ও মধ্য বঙ্গোপসাগরে নিষেধাজ্ঞা জারি করল আবহাওয়া দফতর।









