IMD on Cyclone: পুজোর আগেই সাইক্লোনের আতঙ্ক! ‘এখনই গুজবে বিশ্বাস করবেন না’, বিবৃতি জারি করল IMD
- Published by:Teesta Barman
- news18 bangla
Last Updated:
IMD on Cyclone: অক্টোবর মাসটিকে ওড়িশায় ঘূর্ণিঝড়ের সময় হিসাবে চিহ্নিত করা হলেও, আইএমডি এখনও পর্যন্ত এমন কোনও পূর্বাভাস দেয়নি। আইএমডি ১০টি আলাদা আলাদা আবহাওয়ার পূর্বাভাসের মডেল নিয়ে আলোচনা করেছে।
advertisement
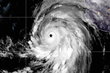
1/5

অক্টোবরের প্রথম সপ্তাহে ওড়িশায় ঘূর্ণিঝড় আছড়ে পড়ার সম্ভাবনা তৈরি হয়েছে, এমনই গুঞ্জনে আতঙ্কিত ওড়িশাবাসী। শুক্রবার দিল্লির মৌসম ভবন আবহাওয়া দফতর (IMD) আগামী ১৪ দিনের মধ্যে সম্ভাব্য ঘূর্ণিঝড়ের গুজবে বিশ্বাস না করার জন্য জনগণকে অনুরোধ করেছে।
advertisement
2/5
অক্টোবরের প্রথম সপ্তাহে পূর্ব-মধ্য বঙ্গোপসাগরে একটি নিম্নচাপ তৈরি হতে পারে, যা ঘূর্ণাবর্তে পরিণত হওয়ার সম্ভাবনা কম। এমনটাই জানালেন ডিজি মৃত্যুঞ্জয় মহাপাত্র।
advertisement
3/5
অক্টোবর মাসটিকে ওড়িশায় ঘূর্ণিঝড়ের সময় হিসাবে চিহ্নিত করা হলেও, আইএমডি এখনও পর্যন্ত এমন কোনও পূর্বাভাস দেয়নি। আইএমডি ১০টি আলাদা আলাদা আবহাওয়ার পূর্বাভাসের মডেল নিয়ে আলোচনা করেছে। তার মধ্যে দু’টিতে বলা হয়েছে বঙ্গোপসাগরে নিম্নচাপ তৈরি হতে পারে, যেটি পরে পশ্চিম এবং উত্তর-পশ্চিমের দিকে এগোবে।
advertisement
4/5
তবে এটি কখন উপকূলে পৌঁছাবে এবং এর সম্ভাব্য প্রভাব কী, তা এখনই বলা যাবে না। এখনও পর্যন্ত, আইএমডি কোনও ঘূর্ণিঝড়ের পূর্বাভাস দেয়নি এবং ওড়িশা বা অন্য কোনও রাজ্যের জন্য কোনও সতর্কতা জারি করা হয়নি। সেপ্টেম্বরের শেষে ঘূর্ণিঝড় সঞ্চালন এবং পরবর্তী নিম্নচাপ তৈরি হলে পরিষ্কার করে বোঝা যাবে।
advertisement
5/5
মৃত্যুঞ্জয় মহাপাত্র ভারতের ‘সাইক্লোন ম্যান’ হিসাবে পরিচিত, তিনি নিজেই পরামর্শ দিয়েছেন যেন কেউ গুজবে বিশ্বাস না করেন। তিনি বলেন, ‘‘আমরা বঙ্গোপসাগরে সম্ভাব্য সিস্টেম তৈরির উপর নজর রাখছি এবং যখনই স্পষ্ট করে জানা যাবে, সব জানিয়ে দেওয়া হবে।’’ এদিকে, শুক্রবার আইএমডি পূর্বাভাস দিয়েছে ওড়িশার কিছু অংশে বজ্রবিদ্যুৎ-সহ ভারী বৃষ্টিপাত হবে।