IMD Weather Update: হাড় কাঁপানো ঠান্ডা, জমাট কুয়াশা..না বৃষ্টি! নতুন বছরে কেমন থাকছে আবহাওয়া? এল আপডেট
- Published by:Satabdi Adhikary
- news18 bangla
Last Updated:
কাশ্মীর বর্তমানে 'চিল্লাই কালান' নামে পরিচিত ৪০ দিনের কঠোর শীতকালীন সময়ের মধ্য দিয়ে যাচ্ছে, যা ২১ ডিসেম্বর থেকে শুরু হয়েছে এবং ৩০ জানুয়ারি শেষ হবে।
advertisement
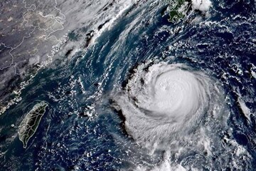
1/12

আরব সাগরে শক্তি বাড়াচ্ছে নিম্নচাপ। বাংলাদেশের বঙ্গোপসাগর উপকূলে অবস্থান করছে ঘূর্ণাবর্ত। দক্ষিণ-পূর্ব আরব সাগরে নিম্নচাপ আগামী ৪৮ ঘণ্টায় সুস্পষ্ট নিম্নচাপে পরিণত হবে। বাংলাদেশ ও সংলগ্ন উত্তর-পূর্ব বঙ্গোপসাগরে একটি ঘূর্ণাবর্ত রয়েছে।
advertisement
2/12
দক্ষিণ ভারতে রয়েছে উত্তর-পূর্ব হাওয়ার প্রভাব। বর্ষ শেষে নতুন করে বৃষ্টির স্পেল। নতুন বছরের প্রথম সপ্তাহেই বৃষ্টির সম্ভাবনা দক্ষিণবঙ্গে। দক্ষিণবঙ্গের পশ্চিমের জেলাগুলিতে বৃহস্পতি ও শুক্রবার হালকা বৃষ্টির সামান্য সম্ভাবনা। বুধবারের পর আবহাওয়ার পরিবর্তন দক্ষিণবঙ্গে মেঘলা আকাশের সম্ভাবনা।
advertisement
3/12
এদিকে বরফেই বর্ষবরণ বাংলায়। বৃহস্পতিবার পর্যন্ত হালকা তুষারপাতের সম্ভাবনা দার্জিলিঙে। সিকিমে বৃষ্টি ও তুষারপাত। তার প্রভাব দার্জিলিংয়ের উঁচু পার্বত্য এলাকায়। বৃষ্টি হবে দার্জিলিং এবং কালিম্পং সহ উত্তরবঙ্গের পার্বত্য এলাকায়। পশ্চিমি ঝঞ্ঝা পাস করার ফলেই আবহাওয়ার পরিবর্তন।
advertisement
4/12
কলকাতায় রাতের তাপমাত্রা স্বাভাবিকের অনেকটাই উপরে। বৃষ্টির সম্ভাবনা নেই। আগামী ৭ দিন আবহাওয়া পরিবর্তনের কোনও সম্ভাবনা নেই। সকাল সন্ধ্যায় শীতের আমেজ থাকলেও দিনের বেলায় লাগবে না ঠান্ডা। সকালে হাল্কা-মাঝারি কুয়াশা ও ধোঁয়াশা। পরে মূলত পরিষ্কার আকাশ।
advertisement
5/12
দেশের অনেক রাজ্যই বর্তমানে তীব্র কুয়াশা ও ঠান্ডার কবলে পড়েছে। ভারতের আবহাওয়া বিভাগ (আইএমডি) শনিবার লাল সতর্কতা জারি করে জানিয়েছে উত্তর-পশ্চিম ভারতের অনেক অংশে এবং মধ্য ভারতের পার্শ্ববর্তী সমভূমিতে সকালের দিকে 'খুব ঘন' কুয়াশা তৈরি হতে পারে৷ আগামী দু’দিনের মধ্যে এই প্রবণতা পূর্ব ভারতে ছড়িয়ে পড়ার সম্ভাবনা রয়েছে।
advertisement
6/12
আবহাওয়ার পূর্বাভাস সংস্থা জানিয়েছে,রবিবার পঞ্জাব, হরিয়ানা, উত্তরপ্রদেশ, মধ্যপ্রদেশ এবং উত্তর রাজস্থানের কিছু অংশে দিনের বেলায় তাপমাত্রা কম থাকবে। আইএমডি সূত্রের খবর, পঞ্জাবের বিস্তীর্ণ অংশে সন্ধ্যা থেকে পরের দিন সকাল পর্যন্ত এবং পশ্চিম উত্তরপ্রদেশ, হরিয়ানা, চণ্ডীগড়ে মধ্যরাতে এবং ৪ জানুয়ারি সকাল পর্যন্ত খুব ঘন কুয়াশা (দৃশ্যমানতা ≤ 50 মিটার) থাকার সম্ভাবনা রয়েছে। দিল্লি এবং পূর্ব উত্তরপ্রদেশে এই অবস্থা চলবে আগামী ১ জানুয়ারি পর্যন্ত।
advertisement
7/12
ঘন কুয়াশার পরিস্থিতি (দৃশ্যমানতা 50-200 মিটার) উত্তরাখণ্ডে জারি আগামী ৪ জানুয়ারি পর্যন্ত৷ উত্তর মধ্যপ্রদেশ, উত্তর রাজস্থান, ঝাড়খণ্ডে রবিবার এবং ১ জানুয়ারি সকালে কয়েক ঘণ্টার জন্য ঘন কুয়াশা থাকবে। রবিবার এবং ২ জানুয়ারি গাঙ্গেয় পশ্চিমবঙ্গ, ওড়িশা, বিহার, অসম, মেঘালয়, মিজোরাম এবং ত্রিপুরাতেও অনুরূপ পরিস্থিতি প্রত্যাশিত। অর্থাৎ, সকালের দিকে থাকবে কুয়াশা৷
advertisement
8/12
আবহাওয়া দফতরের মতে, দুর্বল পশ্চিমি ঝঞ্ঝার প্রভাবে রবিবার জম্মু ও কাশ্মীর, লাদাখ, মুজাফফরাবাদ, হিমাচল প্রদেশ এবং উত্তরাখণ্ডে হালকা বৃষ্টি/তুষারপাতের সম্ভাবনা রয়েছে। আগামী দু’দিনের মধ্যে মধ্য ও উত্তর-পশ্চিম ভারতের অনেক অংশে সর্বোচ্চ তাপমাত্রা ২-৩ ডিগ্রি সেলসিয়াস কমে যাওয়ার সম্ভাবনা রয়েছে এবং এর পরে কোনও এই তাপমাত্রায় উল্লেখযোগ্য পরিবর্তন হবে না।
advertisement
9/12
আবহাওয়া অধিদফতরের (আইএমডি) অনুমান, আগামী কয়েকদিন দেশের উত্তরাঞ্চলে ঘন কুয়াশা থাকবে। বিভাগের মতে, ৩১ ডিসেম্বর পর্যন্ত পঞ্জাবের অনেক অংশে এবং পশ্চিম উত্তর প্রদেশে ৪ জানুয়ারি পর্যন্ত ঘন কুয়াশা থাকবে। সোমবার পর্যন্ত হরিয়ানা, চণ্ডীগড়, দিল্লি এবং পূর্ব উত্তর প্রদেশে ঘন কুয়াশা বিরাজ করবে বলে আশা করা হচ্ছে। উত্তরাখণ্ডে ৪ জানুয়ারি পর্যন্ত এবং উত্তর মধ্যপ্রদেশ, উত্তর রাজস্থান এবং ঝাড়খণ্ডে সোমবার পর্যন্ত ঘন কুয়াশা বিরাজ করবে বলে আশা করা হচ্ছে।
advertisement
10/12
রবিবার পঞ্জাবের কিছু অংশ, হরিয়ানার কিছু অংশ এবং উত্তর প্রদেশ, মধ্যপ্রদেশ এবং উত্তর রাজস্থানে শৈত্যপ্রবাহের পূর্বাভাস দেওয়া হয়েছে। শনিবার দিল্লিতে সর্বোচ্চ তাপমাত্রা রেকর্ড করা হয়েছে ২০.৩ ডিগ্রি সেলসিয়াস, সর্বনিম্ন তাপমাত্রা ছিল ১১.৮ ডিগ্রি সেলসিয়াস। এটি স্বাভাবিকের চেয়ে পাঁচ ডিগ্রি বেশি।
advertisement
11/12
আবহাওয়া দফতরের রবিবার দেশের রাজধানী দিল্লি ও তার আশেপাশের এলাকায় আংশিক মেঘলা আকাশের সাথে মাঝারি থেকে ঘন কুয়াশার পূর্বাভাস রয়েছে। সর্বোচ্চ এবং সর্বনিম্ন তাপমাত্রা ১৯ থেকে ১১ ডিগ্রি সেলসিয়াসের মধ্যে হতে পারে।
advertisement
12/12
কাশ্মীর বর্তমানে 'চিল্লাই কালান' নামে পরিচিত ৪০ দিনের কঠোর শীতকালীন সময়ের মধ্য দিয়ে যাচ্ছে, যা ২১ ডিসেম্বর থেকে শুরু হয়েছে এবং ৩০ জানুয়ারি শেষ হবে।